La tormenta tropical ‘Carlotta’ tomó fuerza y ahora se convirtió en huracán categoría 1, informó la Conagua; esta es su trayectoria.

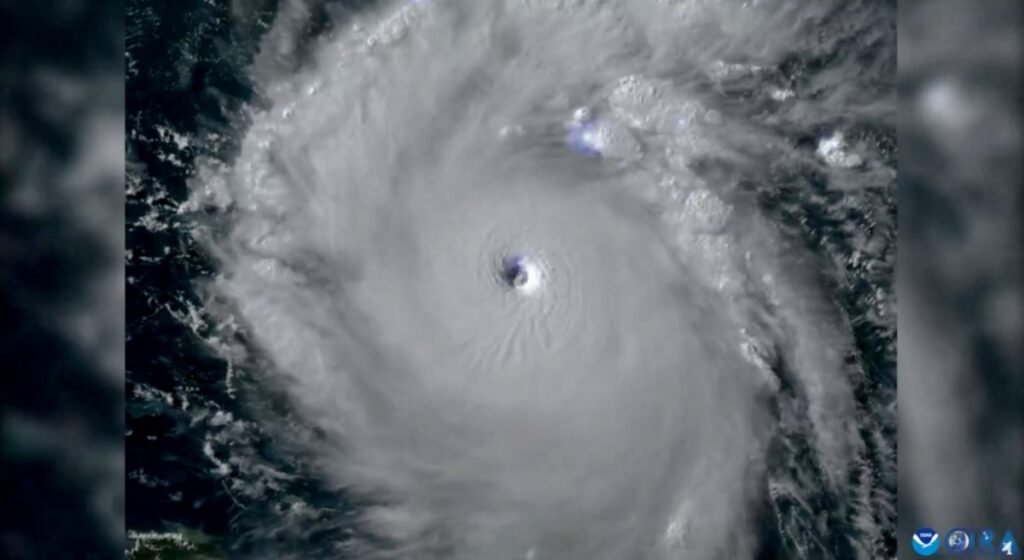
La tormenta tropical ‘Carlotta’ tomó fuerza y ahora se convirtió en huracán categoría 1 al suroeste de la Península de Baja California, según informó el Centro Nacional de Huracanes (NHC, por sus siglas en inglés) y la Conagua este viernes 2 de agosto.
De acuerdo con la Comisión Nacional del Agua (Conagua), ‘Carlotta’ se intensificó a huracán cerca de las 8:00 horas tras ubicarse a 730 kilómetros al suroeste de Cabo San Lucas, Baja California Sur, además de que este fenómeno mantiene vientos máximos sostenidos de 130 kilómetros por hora.
Ante esto, dicha dependencia advirtió que los desprendimientos nubosos del huracán Carlotta reforzarán la probabilidad de lluvias e intervalos de chubascos en Baja California Sur y otras zonas del país.
Además de que la amplia circulación de Carlotta ocasionará rachas de viento de 40 a 60 kilómetros por hora y oleaje de 1 a 2 metros en Baja California Sur en el transcurso de la mañana.
Por esta razón, invitó a extremar precauciones a la población en las zonas de los estados mencionados por lluvias, viento y oleaje (incluyendo la navegación marítima) y atender las recomendaciones emitidas por las autoridades del Sistema Nacional de Protección Civil, en cada entidad.
Huracán ‘Carlotta’: ¿Cuál es su trayectoria?
El ahora huracán Carlottaavanzará sobre el oceáno Pacífico, sin tocar tierra en el territorio mexicano, ya que cada vez se aleja más del país. Esta será su trayectoria de los próximos días:
- Viernes 2 de agosto: Continuará como huracán categoría 1.
- Sábado 3 de agosto: Evolucionará a huracán categoría 2 durante las primeras horas.
- Domingo 4 de agosto: Perderá fuerza y bajará a huracán categoría 1 en las primeras horas.
- Lunes 5 de agosto: Se mantendrá como huracán categoría 1.
- Martes 6 de agosto: Se degradará a tormenta tropical.
Carlotta es la tercera tormenta tropical con nombre en el Pacífico en este 2024, después de Aletta y Bud. Según el pronóstico de Conagua publicado en mayo, para el océano Pacífico se prevén de 8 a 9 tormentas tropicales y al menos, 4 a 5 huracanes que alcanzarán categorías de la 1 a la 2.
Fuente: EL FINANCIERO.
Descubre más desde NotaTrasNota
Suscríbete y recibe las últimas entradas en tu correo electrónico.
